Ο Αμερικανός πρόεδρος Μπαράκ Ομπάμα κήρυξε κατάσταση έκτακτης ανάγκης στην Πολιτεία της Φλόριντας, η οποία εντός των επόμενων ωρών αναμένεται να πληγεί από τον τυφώνα Μάθιου, που άφησε πίσω περισσότερους από 100 νεκρούς στο πέρασμά του από την Αϊτή, τη Δομινικανή Δημοκρατία και την Κούβα.
Με την απόφαση του προέδρου θα αποδεσμευτούν άμεσα ομοσπονδιακά μέσα για να παρασχεθεί βοήθεια στις τοπικές αρχές ενώ οι υπηρεσίες εσωτερικής ασφάλειας (DHS) και διαχείρισης επειγόντων περιστατικών (Fema) θα αναλάβουν τον συντονισμό των επιχειρήσεων διάσωσης, όπως αναφέρεται σε ανακοίνωση που εξέδωσε ο Λευκός Οίκος.
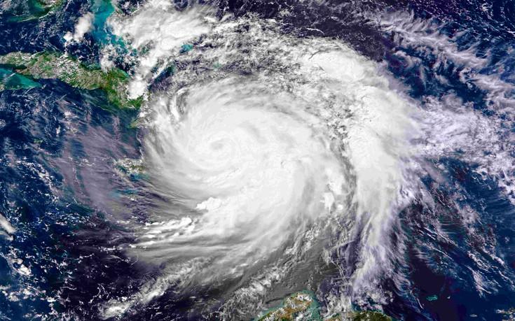
Ο Μάθιου, που αναβαθμίστηκε σε τροπικό κυκλώνα κατηγορίας 4 (στην πεντάβαθμη κλίμακα Σαφίρ-Σίμσον), κινείται προς τα βόρεια και συνοδεύεται από καταρρακτώδεις βροχές και ανέμους ταχύτητας 220 χιλιομέτρων την ώρα. Αναμένεται να πλήξει τη Φλόριντα αργά το βράδυ και να συνεχίσει την πορεία του κατά μήκος των ανατολικών ακτών των ΗΠΑ, μέχρι τη Νότια Καρολίνα.
Οι αρχές έχουν καλέσει περισσότερους από 2 εκατομμύρια Αμερικανούς πολίτες να εγκαταλείψουν τις εστίες τους στα παράλια για να είναι ασφαλείς.
Στο μεταξύ, η τροπική καταιγίδα Νικόλ, που πλήττει τις Βερμούδες, ενισχύθηκε και μετατράπηκε σε τροπικό κυκλώνα, με ανέμους ταχύτητας 130 χιλιομέτρων την ώρα. Ενδέχεται να ενισχυθεί ακόμη περισσότερο εντός των επόμενων 24 ωρών αλλά προς το παρόν δεν θεωρείται σκόπιμο να σημάνει συναγερμός, σύμφωνα με το Κέντρο Πληροφόρησης Τυφώνων (NHC). Η Νικόλ βρίσκεται αυτήν τη στιγμή στα δυτικά του Μάθιου.
Στις Μπαχάμες, οι κάτοικοι έχουν κλειστεί στα σπίτια τους για να γλιτώσουν από τα νερά και τους ανέμους ενώ σχεδόν όλο το τουριστικό αρχιπέλαγος έχει μείνει χωρίς ηλεκτρικό ρεύμα. Στο νησί Νιου Πρόβιντενς, όπου βρίσκεται η πρωτεύουσα Νασάου, πολλοί κάτοικοι είπαν ότι οι στέγες των σπιτιών τους ξεριζώθηκαν από τον αέρα.
Άλλοι κάτοικοι, στις δυτικές και νότιες ακτές του νησιού, είπαν ότι έχουν μείνει στο σκοτάδι, μέσα στα πλημμυρισμένα σπίτια τους. Επρόκειτο κυρίως για ανθρώπους που έμειναν στις εστίες τους, αγνοώντας τις οδηγίες των αρχών να φύγουν από περιοχές που κινδυνεύουν από τις πλημμύρες.
Ακόμη και οι ντόπιοι μετεωρολόγοι, που βρίσκονται επί ποδός πολέμου, αναγκάστηκαν να εγκαταλείψουν το γραφείο τους, στο αεροδρόμιο του Νασάου, και μεταφέρθηκαν με πυροσβεστικό όχημα σε άλλα, πιο ασφαλή κτίρια.
Οι δρόμοι του νησιού είναι γεμάτοι με πεσμένα δέντρα ενώ πολλοί τοίχοι και φράχτες έχουν καταστραφεί.
Στο ξενοδοχείο Atlantis Beach Tower, η πρόσοψη του οποίου διαλύθηκε, οι πελάτες έχουν συγκεντρωθεί στη ρεσεψιόν και σε μια αίθουσα συνεδριάσεων. «Μπορούσαμε να αισθανθούμε τον άνεμο να σπρώχνει, ολοένα πιο δυνατά. Έφυγε πρώτα ένα κομμάτι, μετά όλη η τζαμένια πρόσοψη έγινε θρύψαλα», είπε μια υπάλληλος.
Πηγή: newsbeast.gr
Ακολουθήστε τον bwinΣΠΟΡ FM 94.6 στο Google News για να μαθαίνετε πρώτοι τα τελευταία νέα από την Ελλάδα και τον κόσμο.






